宮古島のシュノーケルと探索
シュノーケリングをメインとして、周囲の観光スポットを巡りました。
シュノーケリングは、写真では伝わりませんが、素晴らしい水中観測でした。
ホテルから見たビーチ

ホテルから見たビーチ(拡大)
_20120920_2_IMG_1955.jpg)
ホテルのロビー

ホテルの外観

シュノーケル装備レンタル

キッチンカー

シュノーケル装備をレンタルする

自分は、シュノーケルとフィンは持参しました。
友人が借りて、ライフジャケットも二人とも借りました。
パラソルと吉野ビーチ

吉野ビーチ

吉野ビーチ広角

ライフジャケット装備

水深3メールと弱まで移動する

記念撮影

記念撮影(ゴーグル付き)
_20120920_37_IMG_8528.jpg)
松本記念撮影

防水デジカを持つ

サンゴ礁1

サンゴ礁2

魚とサンゴ礁

サンゴ礁3

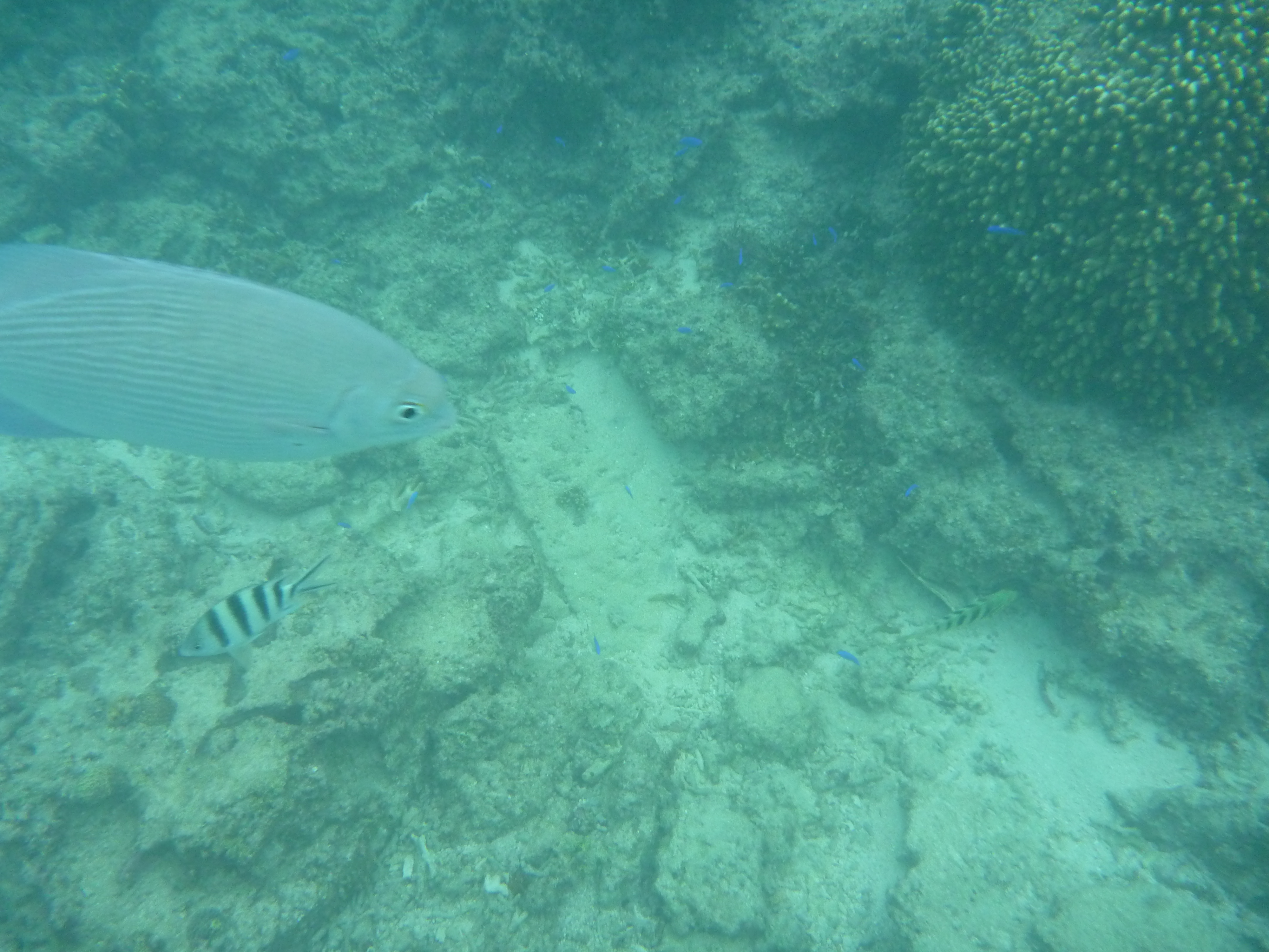
黒い魚

青白い魚

サンゴ礁と魚2匹

シュノーケリングしている姿

折れたサンゴ礁と青い魚たち

水中で記念撮影

サンゴ礁と青い魚たち

サンゴ礁と青い魚一匹

水中撮影する友人

白化サンゴ

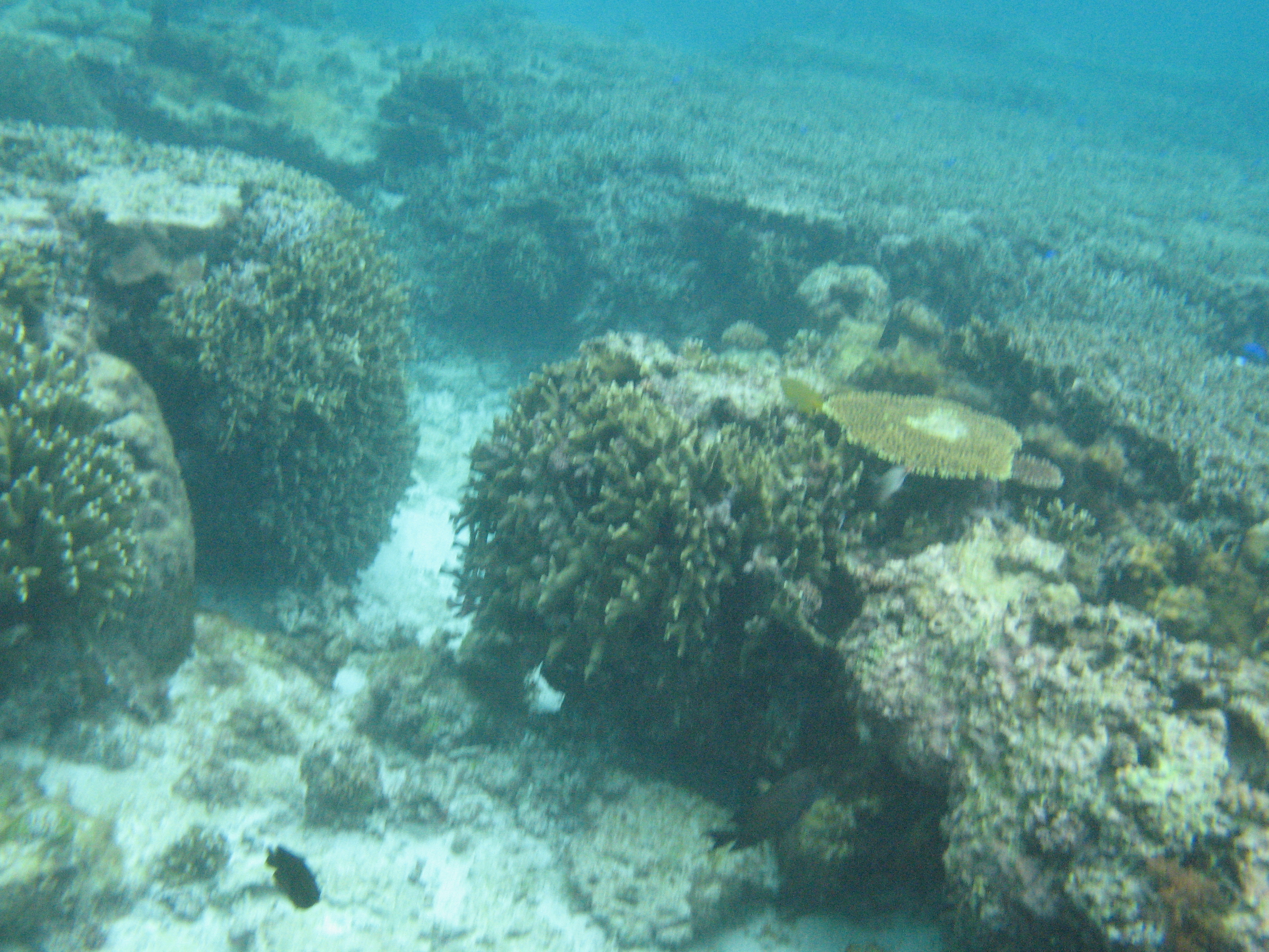
きれいなサンゴ礁1

きれいなサンゴ礁2

多くのサンゴ礁

ウニ

広がっているサンゴ礁

立体的なサンゴ礁

リーフ型のサンゴ礁

吉野ビーチの波際

ビーチに落ちているサンゴと貝殻

ヤドカリとサンゴ

シュノーケルを終えた時には曇って来た

吉野海岸入り口の看板

吉野海岸の石碑

大衆食堂「まえかわ」1

大衆食堂「まえかわ」2

八重山そば

比嘉ロードパークのシーサー1

比嘉ロードパークのシーサー2

比嘉ロードパーク

エメラルドグリーンの海岸1

エメラルドグリーンの海岸2

東平安名崎の石板

東平安名崎(拡大)
_20120920_8_IMG_1966.jpg)
東平安名崎に通じる道路

東平安名崎の遊歩道

東平安名崎の岩たち1

東平安名崎の岩たち2

東平安名崎の岩たち(拡大)
_20120920_12_IMG_1977.jpg)
平安名崎灯台

平安名崎灯台(広角)
_20120920_13_IMG_1979.jpg)
平安名崎灯台の看板

岩の割れ目

下地町観光案内図

来間大橋記念碑

来間大橋1

来間大橋2

来間大橋3

来間大橋4

竜宮城展望台1

竜宮城展望台2

竜宮城展望台からの風景1

竜宮城展望台からの風景2

竜宮城展望台からの風景3

竜宮城展望台からの風景4

竜宮城展望台からの風景5

竜宮城展望台からの風景6、橋が建設中

竜宮城展望台からの風景7

来間島憲法

岩場1

岩場2

海岸への道

岩場3

岩場4

長間浜の入り口の看板

飲食店前に路上駐車帯に路駐(駐車可)
_20120920_92_P1260079.jpg)
中華料理どうとんぼり

中華風の八重山そば

ホテルの夜景1

ホテルの夜景2

ホテルの夜景3

ホテルの夜景4

ホテルの夜景5

ホテルの夜景6

ホテルの夜景7

ホテルの夜景8

使用機材
- Canon EOS 5D MarkII + EF24-105mm F4L IS USM
- Panasonic DMC-FX40
- Panasonic DMC-FT1
更新履歴
第1稿投稿 2026年4月4日 17時30分(記事コンテンツアップ)

